最新消息:20210816 当前crifan.com域名已被污染,为防止失联,请关注(页面右下角的)公众号

【记录】去东方好得家定箭牌卫浴

卫浴 crifan 2673浏览

卫浴方面,之前最开始打算买科勒的,因为可以通过老田介绍的圣尼亚的老刘,拿到内部价(3.8折)。

但是折腾到最后,结果发现,即使只是部分卫浴的东西,比如马桶,花洒,龙头,台盆等等,定科勒的,打完折后,价格也不算很便宜。

加上还有其他很多东西都不包括呢,比如淋浴房等等,所以如果全部用科勒的,或者部分用科勒的,估计所有卫浴加起来都得7,8千以上。

超出我的预算了。尤其是预算已经严重超标的情况下,所以为了省钱,还是不买科勒的了。。。。

然后选来选去,最后打算订箭牌的Arrow的,至少感觉这个牌子好像还可以。

然后东西看着也还行,之前已经去过东方好得家的箭牌了,问了总价,基本上,所有的东西加起来,好几个特价加上其他的东西的普通折扣,算下来,也要7千:

 

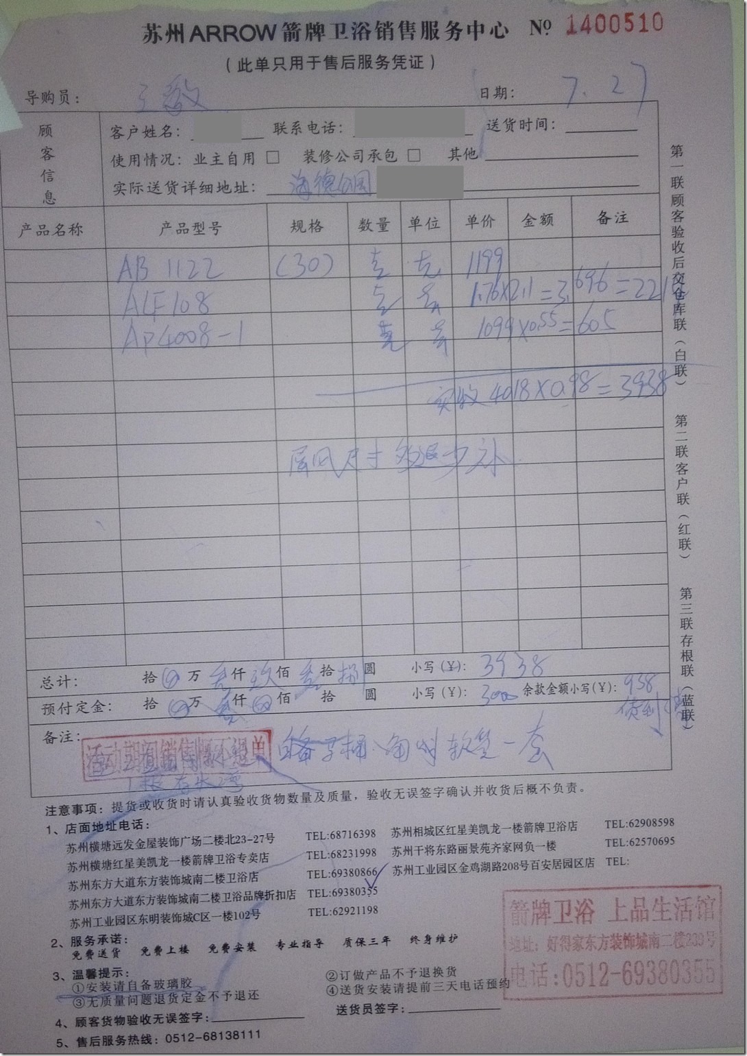
IMG_20140726_173519

 

然后自己后来回去到网上查了很多东西的价格:

卫浴产品

科勒的型号

老刘拿到的科勒的价格

箭牌型号

好得家报价(部分是特价)

京东价格

天猫价格

淘宝价格

淋浴柱+花洒1

K-5428T-B4  齐悦双花洒

1600

A82971SC
A82971C

1299特价

979 – 2238
均价 999

  

淋浴柱+花洒1

  

A82990C

1099特价

1618

  

坐便器

K-17737T-SM /1036901

1630

AB1122

1199 特价

999 – 2238

但是基本没货或不配送到苏州

1787-3888

780-950

但是要加100左右运费送到苏州,并且要自提

台盆

K-2215T-M 台下盆

420

AP4008-1

1099×0.55=605

   

水龙头

K-8620T  依欧亚单孔龙头

380

A1633C

1010×0.55=556

   

淋浴房

  

ALF108

599元/平 特价
599x(1.76×2.1)=
=599*3.696
=2213.904
=2214

   

 

屏风:2214

台下盆:605

马桶坐便器:1119

2214+605+1119=

3938

网上买:

2012

 

online buy other bathroom accessory total 2012

 

所以,现在第二次去箭牌:

IMG_20140803_155913

IMG_20140803_154902

最后权衡下来,决定只定了,三件易碎的,网上买不太方便的:

  • 马桶
  • 淋浴房(屏风)
  • 台盆

然后剩下的东西,都到时候去网上买(京东,或者天猫),可以省个1000元左右。

(如果淘宝买,更省)

最后下了订单:

IMG_20140803_155658

  • 马桶 AB1122(300mm):1199元
  • 淋浴房(屏风) ALF108:1.76米*按照2.1米高算=3.696米*599=2214
  • 台盆AP4008-1:1099×55折=605

注:

淋浴房,由于此处选择的是一字型的,所以叫做:屏风

 

加起来是4018*95折=3938元

其中:

到时候需要自己准备:

  • 玻璃胶
  • 马桶:需要一个角阀,一个软管;
  • 台盆:需要两个角阀,两个软管;一个存水弯;
  • 台盆下水

 

收据:

交了3000元定金

IMG_20140803_155642

 

 

附上选所的卫浴产品:

马桶 AB1122

IMG_20140726_164122

 

IMG_20140726_164114

 

淋浴房(屏风)

IMG_20140726_170639

IMG_20140726_170651

IMG_20140726_170659

注:

淋浴房,不带那个两个(放东西的)玻璃板的。

只是有三门:

最左边,和最右边是固定的,中间那扇可以移动。

 

台下盆

IMG_20140726_172448

IMG_20140726_172437

 

附上:

箭牌的名片

IMG_20140726_214807

 

然后,就是等着:

贴砖贴好后,就电话其派人过去量尺寸

量好淋浴房的尺寸后,就立刻下单

因为淋浴房是箭牌总部生产的,生产好了再送货到苏州的。前后周期要一个月。。

转载请注明:在路上 » 【记录】去东方好得家定箭牌卫浴

84 queries in 0.165 seconds, using 19.58MB memory